KING CITY GLASS WORKS Fairmount, Indiana
By Arlen Rienstra
Reprinted from "Crown Jewels of the Wire", October 2003, page 20
Why it began
Two men with very different lives but a common bond - a desire to pursue and
build a profitable business, established King City Glass Works through a joint
venture. Dr. Alpheus Henley and Charles M. Tigner joined in a business venture
to begin the "Dinky" bottle factory in Fairmount, Indiana in 1890. By
January 1893, it was called King City Glass Works and Tigner was manager.
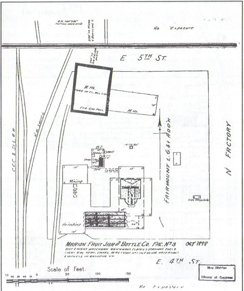
Located at the corner of E. 4th Street and Factory Avenue, it was described in
the "Commoner and Glassworker" as having a 4 ring continuous tank,
with 4 men on battery jars and 2 presses making electrical supplies.
How it began
Natural gas had been discovered in 1886 in N.E. Indiana and became a
profitable commodity very quickly for many communities. Industry was encouraged
to relocate to the area to take advantage of the cheap fuel. What was known as
the "Trenton" gas belt was thought to be an inexhaustible supply.
In the town of Fairmount, Dr. Henley, a prominent physician and bank
president, joined with eight other businessmen to form the Fairmount Mining
Company on March 4, 1887 for the purpose of making exploration for natural gas.
By April 26, a derrick with drill penetrated Trenton rock at 965 feet. The well
produced an abundance of gas, initially tested at 11,500,000-cu/ft/24 hrs. The
well was a tourist Mecca with its tremendous pressure, gigantic flames and
enormous capacity - more than any other well in Indiana. Soon it was named Jumbo
(after P.T. Barnum's huge elephant), and was capped and connected.
How it ended
Several glass factories soon located in Fairmount, attracted by the fuel's
cheapness, cleanliness and convenience. Homes were connected for lighting and fuel at less than one dollar a month cost for
unlimited supply. Lines were laid for transportation and pumping of gas to
Chicago and other cities, but the massive consumption pulling on the gas field
diminished and finally exhausted the supply about 10 years after the boom began.
But prior to the boom's end, there were 110 glass works in Indiana and the state
ranked second nationally in glass production of all types. Indeed, the Ball
brothers and Hemingray Glass Company both opened factories just south of
Fairmount that same decade.
Who were they?
It is not known why the "Dinky" bottle factory established in 1890
by CM. Tigner and Dr. A. Henley began producing insulators in 1893. Tigner had
experience as a bottle blower for Coors in Golden, Colorado, previous to
relocating in Fairmount. Perhaps the demand for insulators and battery jars was
great at that time. Henley certainly was interested in electrical distribution,
telephone and telegraph, serving on boards attracting industry, railroads and a
telephone company in Fairmount. As a prominent physician and businessman, he
most likely provided the capital, while Tigner provided the manufacturing
expertise.

The "Fairmount News" described Charles M. Tigner in 1892 in an
article about the Dillon Glass Company in Fairmount (where Tigner served as a
general manager prior to K.C.G.W.) as "being a practical glass man he is
well qualified to superintend the works. He is perfectly familiar with every
detail of glass making and knows precisely how every department should be run to
secure the best results".
Charles M. Tigner was part owner of Dillon Glass Company (a maker of bottles
and jars) from 1890-1894, when in 1890 he joined Dr. Henley in starting a bottle
factory that evolved into King City Glass Works to produce battery jars and
electrical insulators. There are no existing records or known photographs or
advertisements from K.C.G.W. When the factory was sold in 1897 to Marion Fruit
Jar and Bottle Company, Tigner and two of Dr. Henley's sons were listed as
owners.
Dr. Alpheus Henley had served as a physician in the Civil War and was a
beloved and respected physician in Fairmount from 1865-1904. "The Making of
a Township" describes Henley as "always prompt to respond with his
energy and his means to all well-directed efforts intended to advance the
industrial, business, educational and religious movements worthy of
support". He served as President of Fairmount Bank, the Town Board, School
Board, Board of Trustees of Fairmount Academy, Grant County Medical Society, and
Jonesboro and Fairmount Turnpike Company.

What is left now?
Recent explorations and digging at the factory site have produced artifacts
that sketch a history of the site's products. Many shards of insulators, fruit
jars, and catsup bottles have been dug as well as furnace construction
materials, glass cullet, and glass working tools. Research has led to the
formation of this chronology:

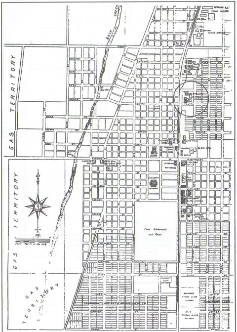
Circa 1893 map of Fairmont, Indiana,
showing locations of several glass
factories and Kansas City Glass Works (circled).

1890-1897 --- King City Glass Works
(a.k.a. the "Dinky" Bottle Works)
Many of the glass shards found at the site can be matched with 4 basic K.C.G.W.
insulator embossings:
- K.C.G.W.
- K.C.G.W. and K.C.G.Co. blot-outs, dots, and
vertical bars
- No name vertical bars
- No name glass dots

1897 --- Marion Fruit Jar and Bottle Company, factory #3
Also, small backwards numbers on skirt shards and glass dots in pinholes in
crown fragments help attribute many once-suspected but never actually
authenticated insulators to King City Glass Works of Fairmount, Indiana.

1907 - mid 1940's --- T. A. Snider's Catsup Preserving plant
Mid 1940's --- burned to the ground
2002 --- Today it is a graveyard for junk automobiles.
|